Lista ofert

Wysogotowska,

Tarnowo Podgórne

9500000.00 zł

Szczegóły

Kupując z pośrednikiem: kupujesz bezpiecznie z ubezpieczeniem OC od transakcji. 


( Oprócz agentów nieruchomości pomagających w znalezieniu i zakupie nieruchomości, oddajemy Ci do dyspozycji doświadczonych ekspertów kredytowych, zdolnych architektów wnętrz i zaradnych specjalistów od zarządzania najmem )

SPRZEDANE ZA 9.500.000 zł!

OKAZJA DLA INWESTORA ! Pełna infrastruktura.

Działka z potencjałem na zabudowę mieszkaniową jednorodzinną – bliźniaczą.

Polecam ofertę działki budowlanej z możliwością podziału na mniejsze w centrum Przeźmierowa, przy ul. Wysogotowskiej ( Gmina Tarnowo Podgórne ). Szybki wyjazd w kierunku Poznania.


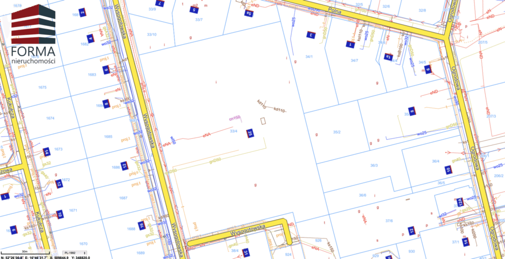
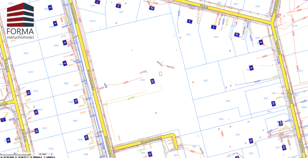
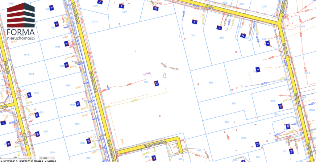
Oferta składa się z dwóch działek, nr 33/4 i 35/2 o łącznej powierzchni 11.766 m2.

Działka jest niezabudowana. Została rozebrana szklarnia oraz grunt został oczyszczony.

W MPZP działki znajdują się na terenie ROM, teren upraw ogrodniczych z możliwością zabudowy mieszkaniowej jednorodzinnej.

Więcej informacji Uchwała Nr XXXIII / 254 /96 , Rady Gminy Tarnowa Podgórne z dnia 24 września 1996r.

Obsługa komunikacyjna: 


zjazd z drogi gminnej ul. Wysogotowska.


MEDIA:

Prąd, woda i gaz na działce. Kanaliza w drodze.

LOKALIZACJA:

Szybki wyjazd w kierunku Poznania, Przeźmierowo jest bardzo dobrze skomunikowana z Poznaniem, ponieważ do jego ścisłego centrum jest zaledwie 10 kilometrów.
- Lotnisko Ławica 6 km 
- Jezioro Kierskie 2 km 
- Tarnowo Podgórne 7km

Stan prawny: Pełna własność z KW

Cena 9.500.000 zł do negocjacji !

Brak prowizji od kupującego !

Cena nie obejmuje podatku PCC oraz opłat notarialnych.

Oferta godna polecenia !

*Przedstawiona wizualizacja ma charakter poglądowy/reklamowy


SERDECZNIE ZAPRASZAMY NA PREZENTACJE! ( prosimy o wcześniejsze umówienie prezentacji ) 


Informacja dla pośredników – współpracujemy przy każdej ofercie.

Dodatkowe informacje o transakcji udzielamy przez telefon 511 893 075

Gwarantuje pełne bezpieczeństwo transakcji.

KREDYT HIPOTECZNY z Nieruchomości Forma
Współpracujemy z 25 największymi bankami, spośród których najlepszą ofertę pomogą Ci wybrać nasi eksperci. U nas możesz liczyć na najniższą marżę, kompleksowe objaśnienie zasad przyznawania kredytu, przeprowadzenie krok po kroku przez całą procedurę kredytową i załatwienie wszystkich formalności w jednym miejscu.

Już dziś zapytaj o szczegóły opiekuna oferty i weź najlepszy kredyt na rynku.

Oferta Realizowana Przez:

Wojciech Borchon 511 893 075


Nieruchomości Forma

Ul. Słowiańska 53b lokal 6

61-681 Poznań

Współpracujemy z:

-Geodetami

-Doświadczonym biurem doradztwa kredytowego (usługa dla Państwa jest bezpłatna)

-Kancelarią notarialną, która dla naszych klientów udziela zniżek.

Zapewniamy bezpieczeństwo transakcji oraz obsługę kredytową.

Powyższy opis ma charakter informacyjny i nie stanowi oferty w rozumieniu przepisów kodeksu cywilnego.

Informacje umieszczone w ofercie przekazane są przez właścicieli nieruchomości i mogą ulegać zmianom.

Staramy się aby wszystkie oferty odpowiadały stanowi rzeczywistemu.

Zapraszamy na naszą stronę

www.nieruchomosciforma.pl

Numer oferty: 654

Typ oferty: sprzedaz

Typ nieruchomości: dzialki

Typ działki: budowlana-wielorodzinna

Szerokość działki: 120.00

Długość działki: 127.00

Ogrodzenie: betonowe

Droga dojazdowa: asfaltowa/betonowa

Powierzchnia: 11766.00 m2

Cena za m2: 807.41 zł

Typ podłączenia wody: miejskie

Gaz: miejski

Kanalizacja: miejska

Ta strona korzysta z ciasteczek aby świadczyć usługi na najwyższym poziomie. Dalsze korzystanie ze strony oznacza, że zgadzasz się na ich użycie. Musisz zaakceptować by korzystać z serwisu